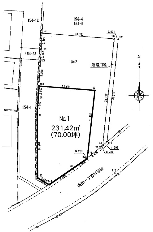
売地(建築条件なし)価格 №1 1,820万円(ご予約有り)・№2 1,565万円 |
|
バス通り沿い・食品スーパー跡地 →№1この物件の詳細を見る(PDF) |
物件一覧
物件
小室貸家2F
3LDK貸家賃料 120,000円 |
|
2世帯住宅をリフォームして分離しました |
ヴィラ石原G
3DKアパート(201号室)賃料 60,000円 |
|
渋沢駅徒歩4分、生活便利 |
メゾン竹ノ上
3DKアパート賃料 50,000円 |
|
上下1世帯ずつ、4面採光 |
寿ハイツ
2Kアパート賃料 43,000円 |
|
高台にあり眺望良好、キッチン新品・全室壁床張替え |
菅沼貸家
3LDK貸家賃料 70,000円 |
|
新光団地内、緑あふれる住環境 |
藤井テラスハウス
2LDKテラスハウス賃料 66,000円 |
|
アクセスのいい渋沢駅徒歩4分だから、毎日の通勤通学がラク。 |
ヴィラ石原B
1Kアパート賃料 28,000円 |
|
駅徒歩5分生活便利、103号室・202号室 |
オリーブA
1Kアパート賃料 29,000円 |
|
買い物便利・日照良好 →この物件の詳細を見る(PDF) |
ヴィラ石原A
1Kアパート賃料 27,000円 |
|
駅徒歩5分生活便利 |
コーポなかや
3DKアパート賃料 48,000円(H30.12.22賃料値下) |
|
ふれあい公園隣接 |
コーポ星和A
3DKアパート賃料 58,000円 |
|
渋沢小学校近く |
コーポ高木
2Kアパート賃料 35,000円 (101)・37,000円(201) |
|
南西角地 |














